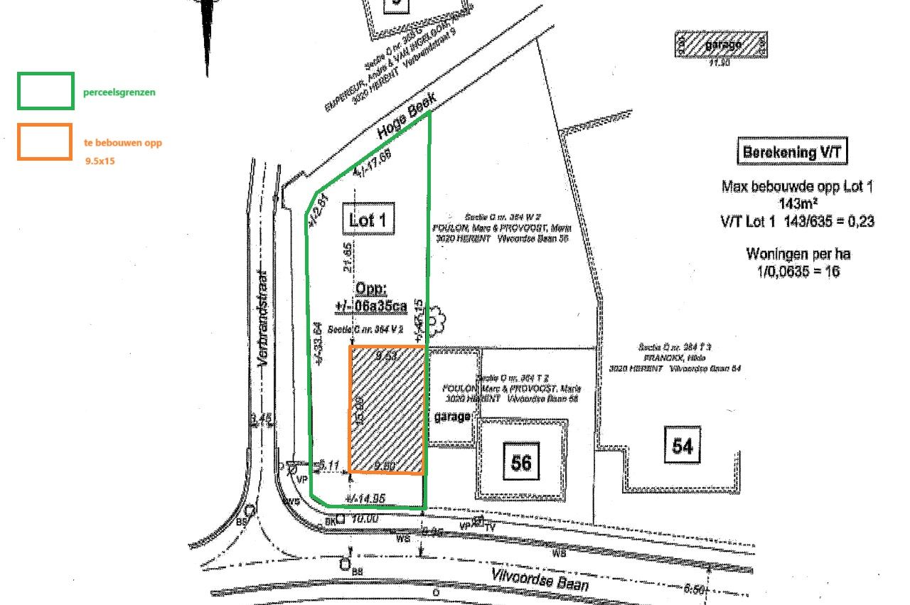
Heel gunstig gelegen, zuidgerichte bouwgrond met een oppervlakte van 6a35ca. Gelegen tussen Herent en Winksele niet ver van het dorp van Winksele met al zijn voorzieningen (school, winkel, apotheek, sport, ...). Bushalte vlakbij en treinstation in Veltem-Beisem.
Bouwvoorschriften:
- ééngezinswoning in halfopen verband, complementaire bedrijvigheid toegelaten
- te bebouwen opp 9,5mx15m op het gelijkvloers, 9,5mx12m op de verdieping
- hellend dak 25° - 50° of gebogen dak
- bouwvrije strook links 5m
- kroonlijsthoogte max 6m
- garage in het hoofdgebouw
- tuinhuis max 12m²
Plannen en alle verkavelingsvoorschriften zijn beschikbaar op www.ifacservice.be
De verkaveling dateert van 30.03.2009 waardoor in maart 2024 eventuele afwijkingen op de verkavelingsvoorschriften kunnen toegestaan worden (verkaveling ouder dan 15jaar).
Perceel niet gelegen in risicozone voor overstromingen.
Overstromingsrapport perceelscore: D.
Voor meer informatie of een bezoek ter plaatse - neem gerust contact met ons op.
Mooie zuidgerichte bouwgrond voor HOB, 6a35ca
€ 165.000
335 m²
635 m²
Documenten
Algemene informatie
AdresVilvoordsebaan 56 / a, 3020 Winksele
Bewoonbare oppervlakte335 m²
Grondoppervlakte635 m²
Gevelbreedte9.5 m
Breedte plot14.95 m
Financieel
Prijs€ 165.000
Bebouwing
BebouwingHalfopen
BodemattestAanwezig
Stedenbouwkundige informatie
VoorkooprechtNee
VergunningNee
DagvaardingGeen rechterlijke herstelmaatregel of bestuurlijke maatregel opgelegd
VerkavelingvergunningJa
BestemmingWoongebied
Risicozone voor overstromingenNee
Afgebakend overstromingsgebiedNee
Afgebakende oeverzoneNee
P-scoreKlasse D





















